Liegenschaftsvermessungen
Das Vermessungsamt führt neben den Öffentlich bestellten Vermessungsingenieuren hoheitliche Vermessungen durch.
Hoheitliche Vermessungen sind
- Flurstückszerlegungen
- Vermessung von langgestreckten Anlagen
- Gebäudeaufnahmen
- Bestimmen und Abmarken von Grenzpunkten (Grenzfeststellungen)
- Durchführung von Baulandumlegungen
- Vermessungstechnische Gutachten
Katastervermessungen
Die Messtrupps sind täglich bei fast jedem Wetter am „Vermessen". Es handelt sich um eine sehr anspruchsvolle, abwechslungsreiche und interessante Tätigkeit mit immer neuen Herausforderungen. Deshalb hängt jeder Geometer mit Herzblut am Außendienst. Alle beschriebenen Tätigkeiten haben einen hohen rechtlichen Stellenwert.




- Eine Flurstückszerlegung ist in der Regel zum Verkauf von Teilflächen eines Flurstücks oder zur Parzellierung eines Bauplatzes erforderlich. Hierbei wird der neue Grenzverlauf von Flurstücken geometrisch festgelegt, in die Örtlichkeit übertragen und mit Grenzzeichen abgemarkt. Der Fortführungsnachweis, welcher die Vermessungsergebnisse enthält, dient als Grundlage für den notariellen Vertrag. Abschließend beurkundet der Notar auf Antrag des Eigentümers die neuen Angaben im Grundbuch.
- Die Vermessung von langgestreckten Anlagen ist die Schlussvermessung von Straßen, Wegen, Gewässern, Bahnen und Dämmen nach deren Neubau, Verlegung oder Verbreiterung einschließlich der Abmarkung der neuen Grundstücksgrenzen.
- Die Gebäudeaufnahme ist die örtliche Einmessung des Gebäudeumrisses sowie dessen Darstellung und Beschreibung im Liegenschaftskataster. Der Eigentümer, Erbbau- oder Nutzungsberechtigte ist nach dem Vermessungsgesetz verpflichtet, die Vermessung auf seine Kosten zu veranlassen. Unterbleibt bei einem Neubau oder einer Grundflächen- oder Nutzungsänderung ein Vermessungsantrag, kann das Vermessungsamt die Einmessung auch ohne speziellen Antrag des Grundstückseigentümers - von Amts wegen - vornehmen.
- Die Grenzfeststellung ist die örtliche Überprüfung vorhandener Grenzzeichen auf ihre richtige Lage oder die örtliche Kennzeichnung fehlender Grenzzeichen mit den Festlegungen des Liegenschaftskatasters. Die Grenzzeichen - Grenzsteine, Schlagmarken oder Bolzen - markieren den örtlichen Grenzverlauf. Eine Grenzfeststellung wird beantragt, wenn Grenzpunkte nicht sichtbar sind, fehlen oder der Grenzverlauf unklar ist. Das Kennen der richtigen Grenze ist Voraussetzung zur Errichtung eines Zaunes oder eines Gebäudes auf der Grenze.
Absteckung der berechneten Koordinaten des Grenzpunktes
Suchen eines Grenzsteines, auch bei schwierigem Untergrund

Wenn der Grenzstein fehlt, wird ein neuer Granitstein gesetzt.

Die Mitte des Grenzsteines markiert den genauen Grenzpunkt.

Nach der Abmarkung wird eine Kontrollaufnahme durchgeführt.


Grenzzeichen
Grenzzeichen sind die einheitliche, für jedermann sichtbare Abgrenzung des Eigentums im Gelände zur Kennzeichnung der Flurstücksgrenzen in der Örtlichkeit. Die Abmarkung ist Teil der Sicherung des Eigentums an Grund und Boden.
- Sandstein
Von 1852 bis in die 1950er-Jahre wurden überwiegend Grenzsteine aus Sandstein verwendet. Hat der Stein in der Mitte ein Loch, so ist er gleichzeitig ein Vermessungspunkt. - Granitstein
Seit den 1950er-Jahren wurden zunehmend Steine aus Granit verwendet. - Kunststoffgrenzmarke
Seit den 1970er-Jahren werden Grenzzeichen aus Kunststoff verwendet. Anfangs nur in Baugebieten, mittlerweile sind sie die gängige Abmarkungsmethode. - Grenzbolzen
Durch die zunehmende Flächenversiegelung seit Mitte des letzten Jahrhunderts wurden Alternativen zu der Abmarkung mit Steinen erforderlich, es wurden Bolzen aus Metall entwickelt.
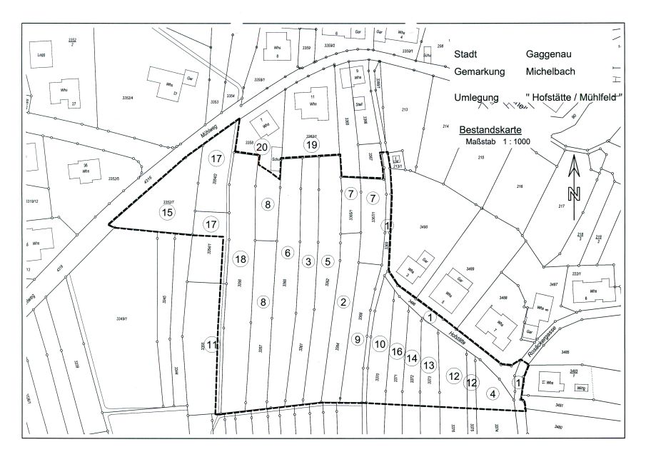
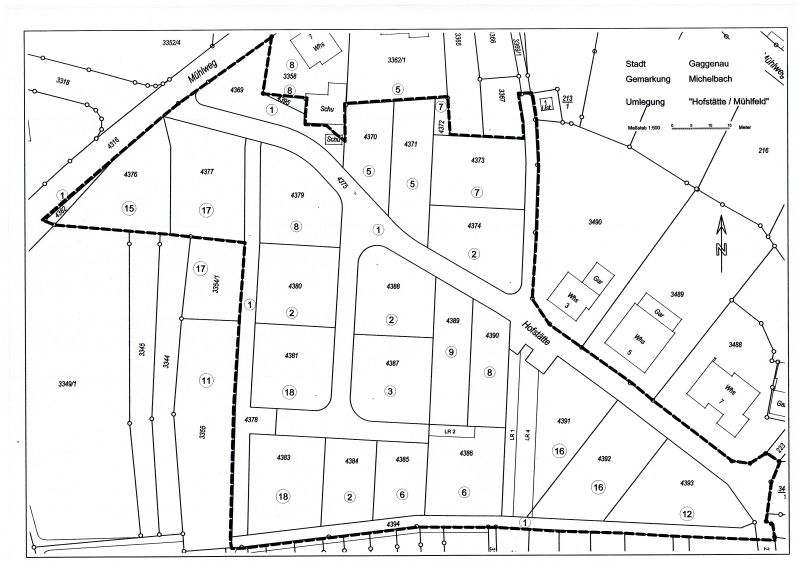
Baulandumlegung
Nach dem Baugesetzbuch ist die klassische "Umlegung" und die "vereinfachte Umlegung" möglich. Die Gemeinde wird in eigener Verantwortung als Umlegungsstelle tätig. Der Umlegungsausschuss trifft, mit Ausnahme der Anordnung der Umlegung, alle wesentlichen Entscheidungen im Umlegungsverfahren. Das Vermessungsamt unterstützt die Umlegungsstelle und stellt einen beratenden Sachverständigen.
Die Umlegung dient der Bereitstellung von Wohn-, Gewerbe- und Industrieflächen und hat damit für die Gemeindeentwicklung erhebliche Bedeutung. Zweck eines Umlegungsverfahrens ist es, zur Erschließung oder Neugestaltung von Gebieten bebaute und unbebaute Grundstücke durch eine Umlegung in der Weise neu zu ordnen, dass nach Lage, Form und Größe für die bauliche oder sonstige Nutzung zweckmäßig gestaltete Grundstücke entstehen.



Die städtebauliche Umlegung ist ein gesetzlich geregeltes Grundstückstauschverfahren. Eigentümer bringen landwirtschaftliche Flächen ein und erhalten Baugrundstücke. Entsprechend den Festsetzungen des Bebauungsplanes und unter Beachtung der Grundsätze im Baugesetzbuch wird nach Erörterung mit den Eigentümern der Umlegungsplan - bestehend aus Umlegungsverzeichnis und Umlegungskarte - aufgestellt. Der Umlegungsplan enthält sämtliche tatsächlichen und rechtlichen Änderungen einschließlich der Geldleistungen. Nach Rechtskraft der Umlegung und Ausbau der Erschließungsanlagen werden die Grenzen der neuen Flurstücke in die Örtlichkeit übertragen und mit Grenzmarken gekennzeichnet.
Vermessungstechnische Gutachten
Das Vermessungsamt erstellt auf Antrag von Grundstückseigentümern und Gerichten vermessungstechnische Gutachten.
Beispiele:
- Bestimmung des Grenzabstands von Gebäuden zur Flurstücksgrenze
- Festlegung des Grenzabstands von sonstigen topografischen Objekten (Zäune, Hecken etc.)



